Um documento divulgado na revista BioScience indica que a humanidade segue rumo a um cenário de “caos climático” em virtude do consumo recorde de petróleo, gás e carvão em 2024. O relatório, assinado por um grupo de cientistas de universidades norte-americanas e europeias, reúne dados que mostram a intensificação de eventos extremos e a rápida deterioração dos chamados “sinais vitais” do planeta.

PROMOÇÃO RELÂMPAGO - Telescópio para adultos e crianças, refrator com abertura de 70 mm



SUPER PROMOÇÃO - Binóculos Profissional de Visão Astronômica de Longo Alcance
Consumo de fósseis atinge novo pico e pressiona metas globais
Segundo o Energy Institute, o uso total de combustíveis fósseis cresceu 1,5 % em 2024, contrariando compromissos internacionais firmados no Acordo de Paris. Essa expansão elevou as emissões de dióxido de carbono associadas à energia a níveis históricos. De acordo com o relatório, o avanço ocorreu apesar de investimentos em fontes renováveis e de políticas de transição energética em vários países.
Os pesquisadores destacam que a produção de energia a partir de petróleo, gás e carvão continua barata em muitos mercados, o que dificulta a troca por alternativas limpas em ritmo suficiente. “Cada fração de grau poupada faz diferença”, enfatiza o coautor e professor William Ripple, da Oregon State University, ao defender cortes imediatos nas emissões.
Em contraste, dados oficiais indicam retração parcial no consumo de fósseis na China durante o primeiro semestre, além de forte expansão de energia solar e eólica em regiões como a Califórnia, onde fontes renováveis já respondem por dois terços da eletricidade. Ainda assim, o relatório conclui que avanços pontuais não compensam a tendência global de alta.
Sinais vitais do planeta entram em zona de alerta
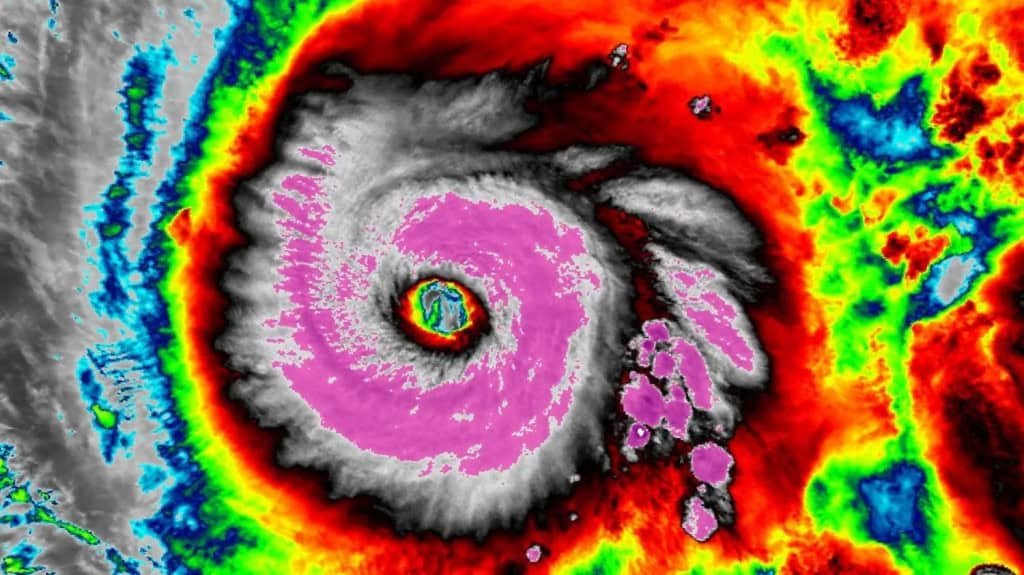
O estudo lista indicadores ambientais que revelam estresse crescente nos sistemas da Terra. Entre eles estão temperaturas recordes nos oceanos, degelo acelerado nas calotas polares, incêndios florestais de grande escala e o recente furacão Melissa, citado como exemplo de evento potencializado pelo aquecimento. “A probabilidade de ultrapassar pontos de inflexão perigosos sobe a cada ano”, afirmam os autores.
Relatórios do National Oceanic and Atmospheric Administration (NOAA) corroboram a tendência, apontando que 2023 fechou com a média de temperatura oceânica mais alta desde o início das medições. Já o derretimento do permafrost, ilustrado pelos cientistas com imagens de satélite, pode liberar metano em grande escala, reforçando o efeito estufa.
O documento também menciona a perda acelerada de florestas por incêndios, fenômeno que reduz a capacidade de absorção de carbono. “Eventos extremos têm custo humano e econômico imediato”, pondera o relatório, destacando enchentes urbanas, impactos na agricultura e riscos para a infraestrutura energética.
Medidas propostas pelos pesquisadores
Para conter o avanço das emissões, o grupo sugere:
- Adoção rápida de eletricidade de fontes limpas;
- Desestímulo fiscal à produção de petróleo, gás e carvão;
- Expansão de transporte coletivo elétrico e de baixa emissão;
- Redução da criação de gado, principal fonte de metano agrícola;
- Proteção e restauração de ecossistemas nativos.
Segundo especialistas citados no estudo, ações coordenadas podem gerar benefícios econômicos, como menor gasto com saúde pública e redução de perdas agrícolas. Além disso, dados da Agência Internacional de Energia indicam que a eletricidade renovável tende a se tornar mais barata que a de origem fóssil em quase todos os mercados até 2030, caso subsídios à inovação sejam mantidos.

Imagem: NOAA
Riscos de inação e oportunidade de transição
O relatório alerta que a demora em cortar emissões eleva a probabilidade de eventos de grande impacto, como colapso de geleiras e chuvas extremas que comprometem sistemas de abastecimento de água. “O custo de lidar com efeitos climáticos severos supera o investimento na prevenção”, observam os autores, citando avaliações econômicas do Banco Mundial.
De acordo com análises independentes, a transição energética pode criar milhões de empregos em setores como eficiência industrial, mobilidade elétrica e hidrogênio verde, compensando postos perdidos na indústria fóssil. “A janela de oportunidade permanece aberta, mas está se fechando rapidamente”, conclui o documento.
Para o leitor, o alerta significa que políticas climáticas podem influenciar preços de energia, disponibilidade de alimentos e até a oferta de seguros residenciais. Mudanças na matriz elétrica e incentivos a veículos de baixa emissão podem chegar ao cotidiano com maior velocidade, impulsionados por regulamentações e investimentos públicos.
Se você deseja acompanhar outras iniciativas ligadas à transição energética e às inovações sustentáveis, recomendamos a leitura de matérias já disponíveis em nossa seção de Tecnologia, onde publicamos análises sobre energia limpa e mobilidade inteligente.
Este relatório reforça a urgência de decisões estruturais para reduzir emissões e evitar danos irreversíveis. Continue acompanhando nossas publicações e compartilhe informações confiáveis para que mais pessoas entendam o impacto coletivo das escolhas energéticas.
Curiosidade
Você sabia que a expressão “ponto de inflexão” no clima se deve à matemática? Ela descreve o momento em que uma curva muda de direção de forma abrupta. No contexto ambiental, refere-se a processos que, depois de ultrapassada certa temperatura, passam a se acelerar sozinhos, como o degelo do permafrost — processo destacado no relatório que inspirou esta reportagem.
Para mais informações e atualizações sobre tecnologia e ciência, consulte também:
Quando você efetua suas compras por meio dos links disponíveis aqui no RN Tecnologia, podemos receber uma comissão de afiliado, sem que isso acarrete nenhum custo adicional para você!

